|
| ダイブNo : 0229 | 日付 : 2010/12/31 |
| 潜水地 : 白浜 円月島ビーチ |
|
| 開始タンク圧 : 150 | 終了タンク圧 : 120 |
| IN時間 : 23:54 | OUT時間 : 00:17 |
| 安全停止 : なし |
| 潜水時間 : 23min |
| 深度 : 3.9m | 平均深度 : 1.9m |
| 気温 : 2℃ | 水温 : 14.9℃ |
| 透明度 : 5〜6m |
| エア消費率 : 10.961 リットル/分 |
| ウェイト : 7kg | タンク : スチール |
| 天候 : 晴れ |
| 保護スーツ : ドライスーツ |
| 環境 : 塩水, ビーチ |
| その他 : FUNダイビング |
|
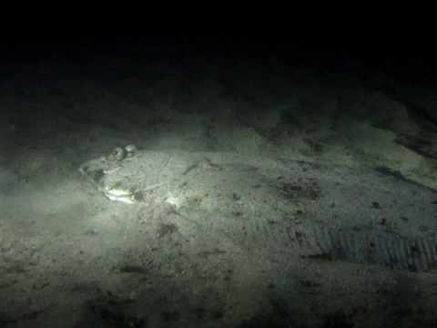
出会った生物 :
ヒラメ, ヒガンフグ, キビナゴ
|
|
コメント :
花火大会は中止になったけど、カウントダウンダイビング。 水面で新年を迎えた。
その後、大きなヒラメを発見。 今年も大物運アップなら嬉しいなぁ。
|
|
| チームメンバー : 他3名 |
| ガイド : T口さん(コナミスポーツ北大路支店のインストラクター) |
| ショップ : アクアマリンシラハマ |
| 合計潜水時間 : 161h 00min |
|
|